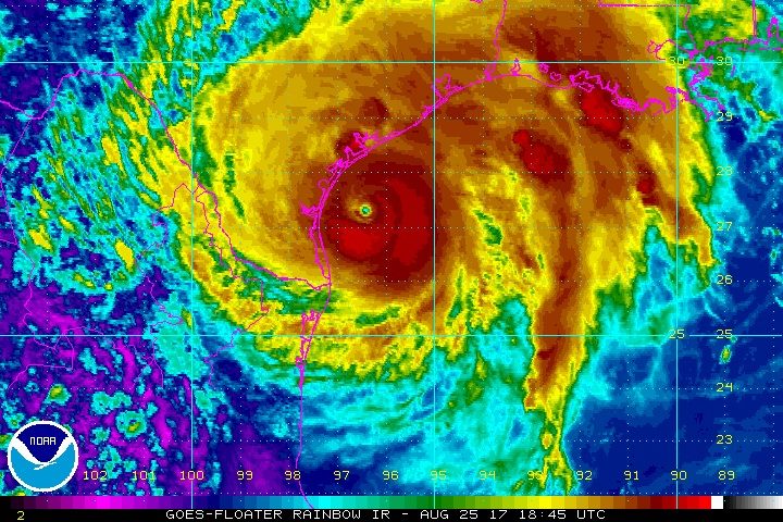
The FAA Prepares for Hurricane Harvey

- Washington D.C, USA.

The Federal Aviation Administration closely monitors forecasted hurricanes and severe weather events and prepares FAA facilities and equipment to withstand storm damage. We prepare and protect air traffic control facilities along the projected storm path so we can quickly resume operations after the hurricane passes. Enabling flights to resume quickly is critical to support disaster relief efforts.

FAA control towers in hurricane-prone areas are designed and built to sustain hurricane force winds. Each control tower has a maximum wind sustainability. When the winds approach that level, controllers evacuate the tower cabs. They may remain in the building on duty in a secure lower level, and are ready to go back to work as soon as the storm passes.

We also protect communications equipment and navigational aids to the greatest extent possible. As the storm approaches, we disable airport surveillance radar antennas to allow them to spin freely, minimizing potential wind damage. This limits damage to the antenna motors and allows radar coverage to resume quickly after the storm passes.

Commercial Travelers
Because of Hurricane Harvey, airlines are likely to cancel many flights in the direct path of the storm and the surrounding area. Flights that are not cancelled may be delayed. Please continue to check the status of your flight with your airline. You can also check the status of some major airports in the storm path by visiting Fly.FAA.gov, which is updated regularly.

Drone Users
The FAA warns unauthorized drone operators that they may be subject to significant fines if they interfere with emergency response operations. Flying a drone without authorization in or near the disaster area may violate federal, state, or local laws and ordinances, even if a Temporary Flight Restriction (TFR) is not in place. Allow first responders to save lives and property without interference.

General Aviation Pilots
Standard check lists are even more important in and around severe weather. Be aware of weather conditions throughout the entire route of your planned flight. A pilot’s failure to recognize deteriorating weather conditions continues to cause or contribute to accidents.

Comments

There are no comments yet for this item

Join the discussion

You can only add a comment when you are logged in. Click here to login